Projekt: Erstellung eines Bestandsplans für Umgestaltungsmaßnahmen auf Grundlage eines Orthophotos
Auftraggeber: -
Ort: -
Jahr: 2017
Abteilung: Technische Vermessung, Vermessungskopter
Leistung:
- Befliegung mit unserem Vermessungskopter
- Berechnung eines Orthophotos
- Erstellung eines detaillierten Bestandsplans
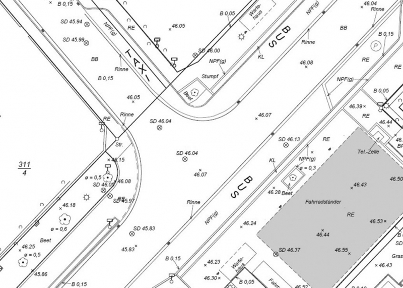
Für die Umgestaltung eines Vorplatzes wurden wir beauftragt, zuvor eine Bestandsdokumentation durchzuführen. Dazu wurde die Fläche mit unserem Vermessungskopter beflogen. Aus den erfassten Daten wurde anschließend ein Orthophoto berechnet. Damit war es möglich, einen sehr detaillierten Bestandsplan zu erstellen.
Bei Bedarf könnten so auch im Nachhinein noch Daten erhoben werden (z. B. bei einem möglichen Materialwechsel oder zur Schadensdokumentation an der Fahrbahn), ohne vor Ort sein zu müssen.
Ansprechpartner: Sebastian Gerding
